Terreno de 4800m² em Recife, Pernambuco.
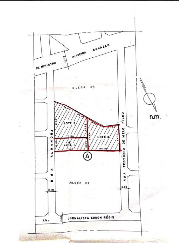
Descrição: Lote de terreno próprio com área total de 4.800m², localizado na Rua Teotônio de Melo Filho, no bairro do Ibura, em Recife/PE. O terreno possui as seguintes dimensões: 54,00m de frente para a Rua Teotônio de Melo Filho, 75,00m pelo lado direito confrontando com a Gleba A4, e 46,62m e 37,50m pelo lado esquerdo confrontando com a Gleba AJ. Nos fundos, mede 77,64m confrontando com os lotes 01 e 02 da mesma quadra e loteamento. O terreno dista 138,00m da esquina mais próxima.

PE, Recife, Ibura - Rua Teotônio de Melo Filho
Atenção:
As informações disponibilizadas sobre imóveis em leilão — incluindo, mas não se limitando a, descrição do bem, datas, valores, imagens, localização, condições do leilão e quaisquer outros dados fornecidos — são integralmente obtidas a partir das publicações oficiais do leiloeiro responsável. A LeeilON atua exclusivamente como plataforma de divulgação e não exerce atividades de leiloeiro, tampouco garante a precisão, completude, atualização ou veracidade das informações apresentadas. Antes de realizar qualquer análise, tomada de decisão ou participação em arrematação, o usuário deve consultar diretamente o site oficial do leiloeiro, verificar as informações completas e atualizadas e, se necessário, buscar orientação de um profissional especializado.